
Ogromni vulkan pored Sjedinjenih Američkih Država će eruptrati u 2025. godini?! Naučnici upozoravaju
Naučnici su upozorili da će veliki podvodni vulkan koji se nalazi blizu obale severozapadnog dela Sjedinjenih Američkih Država eksplodirati u 2025. godini, prenosi Daily Mail!
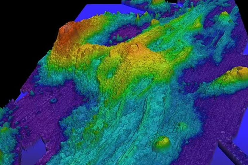
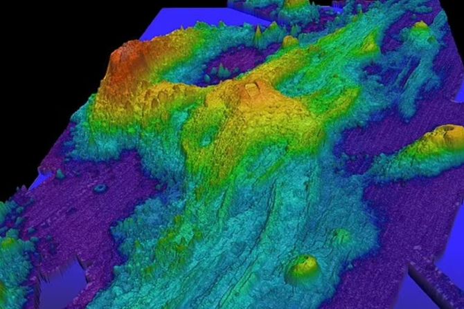
Vulkan nazvan Aksijalni greben (Axial Seamount) visok je više od 1.100 metara i nalazi se na dubini od 800 metara ispod površine vode, na samo 480 kilometara od obale Oregona.
Stručnjaci su dali prognozu 10. decembra nakon što su otkrili širenje morskog dna oko Aksijalnog grebena, slično nivou zabeleženom neposredno pre erupcije 2015. godine. Seizmička aktivnost se takođe povećala, sa stotinama zemljotresa koji se svakodnevno javljaju u oblasti vulkana i rojevima zemljotresa većim od 500 dnevno.
„Na osnovu trenutnih trendova i pretpostavke da će Aksijalni greben biti spreman za erupciju kada dostigne prag inflacije iz 2015. godine, naša trenutna vremenska prognoza za erupciju je između sada (jul 2024.) i kraja 2025. godine“, naveli su istraživači u novoj studiji.
Tim je prvi put primetio širenje u novembru, koristeći niz alata za precizno praćenje aktivnosti ovog vulkana, prikupljajući podatke u realnom vremenu o njegovim podrhtavanjima, potresima, širenju i čak naginjanju. Smešten na grebenu Huana de Fuke (Juan de Fuca Ridge), Aksijalni greben je najaktivniji podvodni vulkan u severoistočnom Pacifiku.
Zbog svoje redovne aktivnosti, Aksijalni greben pruža jedinstvenu priliku naučnicima da prouče upozoravajuće znakove koji prethode erupciji i nauče kako da je predvide. Srećom, erupcije ovog vulkana ne predstavljaju veliku pretnju za ljude i infrastrukturu na zapadnoj obali.
To je uglavnom zato što je Aksijalni greben štitasti vulkan, koji generalno nema eksplozivne erupcije. Osim toga, seizmička aktivnost oko njega je premala da bi izazvala cunami ili veliki zemljotres.
Geofizičar sa Državnog univerziteta u Oregonu, Vilijam Čadvik (William Chadwick), započeo je istraživanje vulkana u novembru kada je primetio da se njegova površina naduvala skoro do iste visine kao pre poslednje erupcije pre skoro deset godina. Naduvavanje površine je jak pokazatelj da štitasti vulkan uskoro može eruptirati, jer to znači da se magma akumulirala ispod zemlje i stvara pritisak.
Širenje koje je prethodilo erupciji 2015. godine omogućilo je Čadviku i njegovim kolegama da predvide taj događaj. To je bio njihov „najuspešniji pokušaj prognoziranja“, rekao je za Science News.
Od poslednje erupcije, Aksijalni greben je ponovo dostigao više od 95% praga inflacije iz 2015. godine, objasnili su Čadvik i njegove kolege u izjavi.
Ovo širenje nije bilo konstantno. Brzina inflacije se usporila između 2015. i 2023. godine, a do leta 2023. skoro je prestala. Istovremeno, stopa seizmičke aktivnosti ostala je relativno niska u tom periodu. Međutim, od jeseni 2023. godine, a posebno od januara 2024., i širenje vulkana i seizmička aktivnost postepeno su se povećavali, „očigledno signalizirajući fundamentalnu promenu u snabdevanju magmom ovog vulkana“, objasnili su istraživači.
Do jula 2024. godine, brzina širenja porasla je na otprilike 25 centimetara godišnje i nastavlja da raste.
„Ako se brzina inflacije i seizmičke aktivnosti nastavi povećavati, erupcija bi mogla biti verovatna pre kraja 2024. godine“, saopštio je tim.
Mogućnost prognoziranja erupcije više od 24 sata unapred je „prilično jedinstvena“, a kamoli davanje meseci unapred, rekao je Čedvik za Science News.
Međutim, ogromni istraživački napori oko Aksijalnog grebena omogućili su naučnicima da dublje istraže mehanizme koji pokreću podvodne vulkanske erupcije nego ikada pre.
Oni su čak razvili novi alat koji može proceniti količinu magme koja će pokrenuti sledeću erupciju. Drugi su koristili veštačku inteligenciju za analizu zapisa o zemljotresima pre erupcije 2015. godine i otkrili više o neposrednim upozoravajućim znakovima.
Iako Aksijalni greben nije posebno opasan podvodni vulkan, sposobnosti prognoze koje su naučnici razvili proučavajući ga mogle bi im pomoći da predvide erupcije onih koji jesu.
Na primer, u januaru 2022. godine, izuzetno snažna erupcija podvodnog vulkana Hunga u arhipelagu Tonga u južnom Pacifiku izazvala je cunami koji je prouzrokovao štetu procenjenu na 90 milijardi dolara.
Ovaj ogromni talas pogodio je Kaliforniju, Havaje, delove Kanade, Čilea, Fidžija, Japana, Novog Zelanda, Meksika i Perua.
Zapadna obala neće morati da brine o tome da Aksijalni greben izazove takav događaj. Ali njegova predstojeća erupcija pružiće još jednu priliku naučnicima da saznaju više o tome kako ovi moćni geološki sistemi funkcionišu.
(Telegraf Nauka/Daily Mail)
Video: Projekat o osnaživanju Romkinja iz Srbije uzor evropske naučne zajednice, osvojio Grand Prize
Nauka Telegraf zadržava sva prava nad sadržajem. Za preuzimanje sadržaja pogledajte uputstva na stranici Uslovi korišćenja.